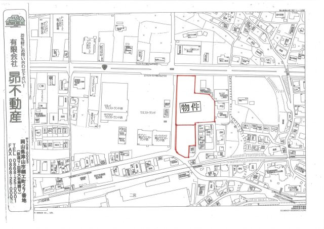
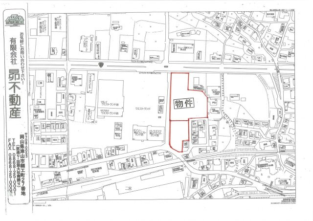
二宮 貸土地 ①+② 2273坪 

182.8万円 (0.08万円/坪) 管理/共益費 -

岡山県津山市二宮63-15

姫新線「院庄」駅徒歩6分

価格
182.8万円(0.08万円/坪) 管理/共益費 -
土地面積
2273.28坪(7514.99㎡)
所在地
岡山県津山市二宮63-15
駐車
-
交通

姫新線院庄」駅 徒歩6分

二宮 貸土地 ①+② 2273坪 の基本情報

物件名
二宮 貸土地 ①+② 2273坪 
価格
182.8万円(0.08万円/坪)
管理/共益費
-
土地面積
2273.28坪(7514.99㎡)
所在地
岡山県津山市二宮63-15
交通

姫新線院庄」駅 徒歩6分

二宮 貸土地 ①+② 2273坪 の詳細情報

駐車場/月額
-/-
土地権利
普通地上権
用途地域
近隣商業
取引態様
専任媒介

二宮 貸土地 ①+② 2273坪 で募集中の物件

  1. 2273.27坪 (7514.99㎡)

    182.8万円(0.08万円/坪)

周辺施設

  • 大阪王将 院庄店の画像

    中華料理

    大阪王将 院庄店

    20m(1分)

  • ザ・ダイソー 津山ウエストランド店の画像

    生活雑貨店

    ザ・ダイソー 津山ウエストランド店

    44m(1分)

  • マクドナルド 津山二宮店の画像

    ファーストフード

    マクドナルド 津山二宮店

    53m(1分)

  • ウエストランドの画像

    スーパー

    ウエストランド

    60m(1分)

  • ZAG ZAG(ザグザグ) ウエストランド店の画像

    ドラッグストア

    ZAG ZAG(ザグザグ) ウエストランド店

    66m(1分)

  • 100円ショップセリア二宮店の画像

    生活雑貨店

    100円ショップセリア二宮店

    84m(2分)

  • ガスト二宮店の画像

    ファミリーレストラン

    ガスト二宮店

    117m(2分)

  • 中国銀行院庄支店の画像

    銀行

    中国銀行院庄支店

    411m(6分)

  • (株)ナンバ 院庄店の画像

    ホームセンター

    (株)ナンバ 院庄店

    470m(6分)

  • 向陽小学校の画像

    小学校

    向陽小学校

    518m(7分)

  • わたなべ内科医院の画像

    内科

    わたなべ内科医院

    653m(9分)

  • ニトリ津山店の画像

    インテリア

    ニトリ津山店

    772m(10分)

  • 河原内科の画像

    内科

    河原内科

    998m(13分)

  • 中国自動道 院庄ICの画像

    その他

    中国自動道 院庄IC

    1134m(15分)

  • 二宮郵便局の画像

    郵便局

    二宮郵便局

    1170m(15分)

  • 津山西中学校の画像

    中学校

    津山西中学校

    1357m(17分)

  • 津山第一病院の画像

    総合病院

    津山第一病院

    1400m(18分)

近隣の物件

  1. 津山市沼

    - (962.00㎡)

    29万円(0.1/坪)

  2. 津山市野介代

    - (10042.55㎡)

    50万円(0.02/坪)

  3. 津山市二宮

    - (1304.00㎡)

    35万円(0.09/坪)

  4. 津山市河辺

    - (1919.00㎡)

    38万円(0.07/坪)

よく見られている物件

  1. 津山市二宮

    - (1304.00㎡)

    35万円

  2. 津山市津山口

    - (1963.00㎡)

    15万円

  3. 津山市二宮

    - (5415.99㎡)

    132万円

  4. 津山市沼

    - (962.00㎡)

    29万円

二宮 貸土地 ①+② 2273坪 

お気軽にお問い合わせください

無料お問い合わせ

有限会社昴不動産

0868-25-0001

9:00~18:00

(休:日曜日・祝日)